[花蓮旅遊景點推薦] 蝴蝶翩翩起舞超美麗 台灣最大蝴蝶生態館 花蓮免費景點 三大園區二個主題館 預約專人導覽 親子旅遊可安排在太魯閣一日遊 -亞泥生態園區
位在花蓮太魯閣國家公園約5分鐘車程的亞泥生態園區,他佔地有一公頃有三大園區二大主題館,其中一個蝴蝶館於2018年開幕,佔地600坪是全台灣最大蝴蝶生態館,復育35種蝴蝶,半個巴掌大的鳳蝶在你身邊翩翩起舞讓人覺得很開心唷,我有拍有影片,戶外偶爾還能遇到保育類黃裳鳳蝶,這帶小朋友來個親子活動超棒,而且另一個竹節蟲生態館,10種各異像樹枝在走的昆蟲感覺非常有趣,再來他全區免門票,提前三天預約還有專人導覽這些都是免費,這很適合安排在來安排太魯閣一日遊行程裡面,企業團體或是公司旅遊都很適合來,這裡也是環境教育場所,公家機關跟學校單位也可以來拿時數^^ 可以說是2019花蓮私房景點唷
#亞泥生態園區
地址:花蓮縣新城鄉新城村新興路125號
營業時間 每天上午九時到下午五時開放。
門票費用:免費
預約電話:03-8612101轉分機214或218
線上預約:https://accpark.org/
位在太魯閣國家公園旁占地約1公頃的亞泥生態園區,成立至今已有13年的時間,其實花蓮鄉親們應該都知道這個地方,不過他們今年重新整修600 坪的蝴蝶網室,還新增蝴蝶採種室,提供更好的保育空間,而看他們網站說是盡量三天前預約,所以發現晚了還是可以賭一下XD,再來如果沒有預約也是可以去,來他們門口的警衛室跟他們說一下就可以了,我是強烈建議大家提前預約導覽,因為生態這樣的東西不是用看的就知道,有人解說會更棒
門前這條通往太魯閣的綠色大道真的美,每次來這邊都會覺得心曠神怡,而亞泥生態園區位置就在在剛剛拍的地方的斜對面而已,搭火車的朋友可以到新城火車站再轉搭計程車,只要幾分鐘的路程,也可以開車前往園區內有停車場喔,或是可以搭配像是KKday包車來太魯閣的行程也很可以()這地方真的很適合全家大小一起來呢
亞泥生態園區每年超過1萬人次來訪,一般人大概只知道有外面這個園區而已,其實他可不只如此,今天就帶大家來走走他的3大園區
我先帶大家直衝他們最新的蝴蝶生態館,而他們的生態館就是在亞泥宿舍裡面,因為他們生態館重新弄好還沒有指標,之後就會有了,我帶著大家就順著路走就可以了
今天來的天氣極好,我們都稱這樣的藍天是當機藍啊,像電腦當機的藍色一樣,花蓮就是這樣的美呢^^
在門口就有看到有野生的愛玉ㄟ....其實不說我還以為是芒果啊XD
這是我們今天導覽員,聽說這位姊姊是他們的王牌導覽員啊^^ 今天聽她說真的是對園區的一草一木都非常的了解呢 有她解說真的差很多唷~
除此之外,還會發給我們一人一張蝴蝶圖鑑,這些都是裡面會出現的蝴蝶唷
順著路走進來,沿路綠意盎然,加上今天天氣很好 走起來頗為放鬆,沿路我拍了很多,不過我想先帶大家去看那蝴蝶生態館,後面再跟大家分享我所看到的^^
亞泥蝴蝶園區這個佔地600坪,挑高感覺應該有2樓半了吧,以外觀來說就感覺非常大了!!
全透明的空間陽光灑進來,裡面綠色植物非常的多就與大自然一樣啊!
而且裡面的蝴蝶真的是很多! 但是要拍大群蝴蝶真的很難,我拍了一個簡單影片給大家看喔
大白斑蝶、鳳蝶、枯葉蝶 看到影片裏面蝴蝶翩翩起舞的感覺是不是很棒啊~所以才想用拍影片的方式給大家看^^
枯葉蝶 真的跟枯葉一模一樣啊~大自然的奧妙真的很厲害
牠張開了牠的翅膀,五顏六色如電鍍光亮色澤,跟外表的低調截然不同啊~~
而且蝶類並沒有很怕人,還會直接飛到人身上
導覽人員有抓了一隻大白斑蝶,牠一被抓到就呈現裝死的狀態,保護自己的方式,趁我們不注意馬上就飛走了,不過請大家不要刻意的抓牠,這是導覽人員讓我們了解生態才這樣做的,尤其是有帶小朋友的父母親,小朋友不知道力道,去追逐去抓會傷害到牠們,這點要請父母跟來這裡的遊客注意唷
在這裡我們看了好久啊,看到這麼多蝴蝶很舒壓,外面的的區域也很有看頭唷
隨著導覽員走,一下就看到蛹了,而且在掛在欄杆上,可見這邊的環境恨適合蝴蝶生活然後還看到稀有的黃裳鳳蝶的幼蟲 是不是太大了啊XD 原來蝴蝶幼蟲可以到這麼大好誇張唷XD 真的是長知識啊
大家都是都第一次在戶外看到這麼多的蝴蝶幼蟲,大家都看得很仔細呢
戶外如果有蝴蝶結蛹的話,會幫牠們蓋上護套來保護牠們
美的不像真的黃金蛹!! 這顏色也太金屬了吧!! 聽導覽員說這是大白斑蝶的蛹,顏色是讓牠的天敵覺得不像是食物演化而成的~真的是明亮的黃金色ㄟ
當然有成功就有失敗,在結蛹之前就先走了~大自然的生活可是很困難的呢
走往蝴蝶育種室前沿路種滿了各種植物,而且大部分都是蝴蝶所喜歡的植物,而牠們喜歡的很多都是中藥,蝴蝶吃得比人好啊XD
蝴蝶育種顧名思義就是牠們的家啦,結蛹之後其實它們是很怕潮濕的,保育人員會看狀況將他們所看的蛹放到這裡,幼蟲也會在這裡看得到,就在蝴蝶生態館的旁邊唷
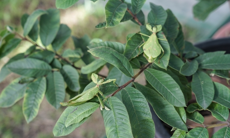
竹節蟲園區這裡有國內外各種的竹節蟲,而且都分區分種類,可以更好的觀察牠們唷
這是更好觀察嗎 你不說我真的以為是樹枝ㄟXD 擬態程度也太高了啊!!
葉脩竹節蟲
白紋巨竹節蟲幽靈竹節蟲
綠椒竹節蟲
他這樣分區 每種都隔開,可以觀察到竹節蟲,而且沒導覽真是看不到牠們在哪裡的說,有些藏在葉子底下,不是導覽人員有說根本不知道
搭火車的朋友可以到新城火車站再轉搭計程車,只要幾分鐘的路程,也可以開車前往園區內有停車場喔或是可以搭配像是KKday包車來太魯閣的行程也很可以()這地方真的很適合全家大小一起來呢
影片連結: https://www.youtube.com/watch?v=PqoRu8K8j7g
亞泥生態園區
地址:花蓮縣新城鄉新城村新興路125號
營業時間 每天上午九時到下午五時開放。
門票費用:免費
預約電話:03-8612101轉分機214或218
線上預約:https://accpark.org/
本文邀約
![[花蓮旅遊景點推薦] 蝴蝶翩翩起舞超美麗 台灣最大蝴蝶生態館 花蓮免費景點 三大園區二個主題館 預約專人導覽 親子旅遊可安排在太魯閣一日遊 -亞泥生態園區 [花蓮旅遊景點推薦] 蝴蝶翩翩起舞超美麗 台灣最大蝴蝶生態館 花蓮免費景點 三大園區二個主題館 預約專人導覽 親子旅遊可安排在太魯閣一日遊 -亞泥生態園區](https://cdn.walkerland.com.tw/images/upload/poi/p89762/m74007/63f2d0a05839a7d126d8ba16930575a4c04ea034.jpg)
![跳躍的宅男 - [花蓮旅遊景點推薦] 蝴蝶翩翩起舞超美麗 台灣最大蝴蝶生態館 花蓮免費景點 三大園區二個主題館 預約專人導覽 親子旅遊可安排在太魯閣一日遊 -亞泥生態園區](https://cdn.walkerland.com.tw/images/upload/poi/p89762/m74007/8ac50e11a95d2ae955c1c95ca9daac3796cd039d.jpg)
![跳躍的宅男 - [花蓮旅遊景點推薦] 蝴蝶翩翩起舞超美麗 台灣最大蝴蝶生態館 花蓮免費景點 三大園區二個主題館 預約專人導覽 親子旅遊可安排在太魯閣一日遊 -亞泥生態園區](https://cdn.walkerland.com.tw/images/upload/poi/p89762/m74007/893d9c93ddd85013ee1eb5404db1a9a37bba6c26.jpg)
![跳躍的宅男 - [花蓮旅遊景點推薦] 蝴蝶翩翩起舞超美麗 台灣最大蝴蝶生態館 花蓮免費景點 三大園區二個主題館 預約專人導覽 親子旅遊可安排在太魯閣一日遊 -亞泥生態園區](https://cdn.walkerland.com.tw/images/upload/poi/p89762/m74007/99045cb7159e8144160aadedbeed82a032c058c4.jpg)
![跳躍的宅男 - [花蓮旅遊景點推薦] 蝴蝶翩翩起舞超美麗 台灣最大蝴蝶生態館 花蓮免費景點 三大園區二個主題館 預約專人導覽 親子旅遊可安排在太魯閣一日遊 -亞泥生態園區](https://cdn.walkerland.com.tw/images/upload/poi/p89762/m74007/067e9fa954f8eac5c6e61b2d8505ede40e3a8a71.jpg)
![跳躍的宅男 - [花蓮旅遊景點推薦] 蝴蝶翩翩起舞超美麗 台灣最大蝴蝶生態館 花蓮免費景點 三大園區二個主題館 預約專人導覽 親子旅遊可安排在太魯閣一日遊 -亞泥生態園區](https://cdn.walkerland.com.tw/images/upload/poi/p89762/m74007/0b82982f77af58c127a9426cab8053f2e29d1b62.jpg)
![跳躍的宅男 - [花蓮旅遊景點推薦] 蝴蝶翩翩起舞超美麗 台灣最大蝴蝶生態館 花蓮免費景點 三大園區二個主題館 預約專人導覽 親子旅遊可安排在太魯閣一日遊 -亞泥生態園區](https://cdn.walkerland.com.tw/images/upload/poi/p89762/m74007/3eb361526fabdd79c1ff3b0238b6e66f2edc72fe.jpg)
![跳躍的宅男 - [花蓮旅遊景點推薦] 蝴蝶翩翩起舞超美麗 台灣最大蝴蝶生態館 花蓮免費景點 三大園區二個主題館 預約專人導覽 親子旅遊可安排在太魯閣一日遊 -亞泥生態園區](https://cdn.walkerland.com.tw/images/upload/poi/p89762/m74007/1fd27b4f5717b9a083d38a4bad2e8b224f7ea731.jpg)
![跳躍的宅男 - [花蓮旅遊景點推薦] 蝴蝶翩翩起舞超美麗 台灣最大蝴蝶生態館 花蓮免費景點 三大園區二個主題館 預約專人導覽 親子旅遊可安排在太魯閣一日遊 -亞泥生態園區](https://cdn.walkerland.com.tw/images/upload/poi/p89762/m74007/c580c3f02153c26a64a5fb21f678ba02b99973ba.jpg)
![跳躍的宅男 - [花蓮旅遊景點推薦] 蝴蝶翩翩起舞超美麗 台灣最大蝴蝶生態館 花蓮免費景點 三大園區二個主題館 預約專人導覽 親子旅遊可安排在太魯閣一日遊 -亞泥生態園區](https://cdn.walkerland.com.tw/images/upload/poi/p89762/m74007/156c49f5123816ef422dd66154a48218f6cf8c27.jpg)
![跳躍的宅男 - [花蓮旅遊景點推薦] 蝴蝶翩翩起舞超美麗 台灣最大蝴蝶生態館 花蓮免費景點 三大園區二個主題館 預約專人導覽 親子旅遊可安排在太魯閣一日遊 -亞泥生態園區](https://cdn.walkerland.com.tw/images/upload/poi/p89762/m74007/af9fd34aff391699d46eb8d05eb72dc21c240f17.jpg)
![跳躍的宅男 - [花蓮旅遊景點推薦] 蝴蝶翩翩起舞超美麗 台灣最大蝴蝶生態館 花蓮免費景點 三大園區二個主題館 預約專人導覽 親子旅遊可安排在太魯閣一日遊 -亞泥生態園區](https://cdn.walkerland.com.tw/images/upload/poi/p89762/m74007/4da59dfe472dbf564c2863a1e7a97fbad822aedc.jpg)
![跳躍的宅男 - [花蓮旅遊景點推薦] 蝴蝶翩翩起舞超美麗 台灣最大蝴蝶生態館 花蓮免費景點 三大園區二個主題館 預約專人導覽 親子旅遊可安排在太魯閣一日遊 -亞泥生態園區](https://cdn.walkerland.com.tw/images/upload/poi/p89762/m74007/2a87f064ddb669a052600b585869ac230c3dfd56.jpg)
![跳躍的宅男 - [花蓮旅遊景點推薦] 蝴蝶翩翩起舞超美麗 台灣最大蝴蝶生態館 花蓮免費景點 三大園區二個主題館 預約專人導覽 親子旅遊可安排在太魯閣一日遊 -亞泥生態園區](https://cdn.walkerland.com.tw/images/upload/poi/p89762/m74007/5bf18a708e795df6a03ec767a0ee011a0610e8dd.jpg)
![跳躍的宅男 - [花蓮旅遊景點推薦] 蝴蝶翩翩起舞超美麗 台灣最大蝴蝶生態館 花蓮免費景點 三大園區二個主題館 預約專人導覽 親子旅遊可安排在太魯閣一日遊 -亞泥生態園區](https://cdn.walkerland.com.tw/images/upload/poi/p89762/m74007/3896fe347fd2471ef480a536ab368dc040dfc91a.jpg)
![跳躍的宅男 - [花蓮旅遊景點推薦] 蝴蝶翩翩起舞超美麗 台灣最大蝴蝶生態館 花蓮免費景點 三大園區二個主題館 預約專人導覽 親子旅遊可安排在太魯閣一日遊 -亞泥生態園區](https://cdn.walkerland.com.tw/images/upload/poi/p89762/m74007/c2e880668d0045e81ac53a4540f5545f2555308e.jpg)
![跳躍的宅男 - [花蓮旅遊景點推薦] 蝴蝶翩翩起舞超美麗 台灣最大蝴蝶生態館 花蓮免費景點 三大園區二個主題館 預約專人導覽 親子旅遊可安排在太魯閣一日遊 -亞泥生態園區](https://cdn.walkerland.com.tw/images/upload/poi/p89762/m74007/c105ae095599bf66713fae874640eee2e9259724.jpg)
![跳躍的宅男 - [花蓮旅遊景點推薦] 蝴蝶翩翩起舞超美麗 台灣最大蝴蝶生態館 花蓮免費景點 三大園區二個主題館 預約專人導覽 親子旅遊可安排在太魯閣一日遊 -亞泥生態園區](https://cdn.walkerland.com.tw/images/upload/poi/p89762/m74007/1c5032111f83a0ee8b2f9b7b4dfa47f1ea422477.jpg)
![跳躍的宅男 - [花蓮旅遊景點推薦] 蝴蝶翩翩起舞超美麗 台灣最大蝴蝶生態館 花蓮免費景點 三大園區二個主題館 預約專人導覽 親子旅遊可安排在太魯閣一日遊 -亞泥生態園區](https://cdn.walkerland.com.tw/images/upload/poi/p89762/m74007/6a4f62e352f677636472452b7d2cfde93951faf8.jpg)
![跳躍的宅男 - [花蓮旅遊景點推薦] 蝴蝶翩翩起舞超美麗 台灣最大蝴蝶生態館 花蓮免費景點 三大園區二個主題館 預約專人導覽 親子旅遊可安排在太魯閣一日遊 -亞泥生態園區](https://cdn.walkerland.com.tw/images/upload/poi/p89762/m74007/c6219f81933befec70b65bebb77e0eebf2b75c6f.jpg)
![跳躍的宅男 - [花蓮旅遊景點推薦] 蝴蝶翩翩起舞超美麗 台灣最大蝴蝶生態館 花蓮免費景點 三大園區二個主題館 預約專人導覽 親子旅遊可安排在太魯閣一日遊 -亞泥生態園區](https://cdn.walkerland.com.tw/images/upload/poi/p89762/m74007/81badd68106ac2323b235e813a4dd4bf79be8c10.jpg)
![跳躍的宅男 - [花蓮旅遊景點推薦] 蝴蝶翩翩起舞超美麗 台灣最大蝴蝶生態館 花蓮免費景點 三大園區二個主題館 預約專人導覽 親子旅遊可安排在太魯閣一日遊 -亞泥生態園區](https://cdn.walkerland.com.tw/images/upload/poi/p89762/m74007/62f84626193a6a4b1ac974a3e9c69bb276c65eb0.jpg)
![跳躍的宅男 - [花蓮旅遊景點推薦] 蝴蝶翩翩起舞超美麗 台灣最大蝴蝶生態館 花蓮免費景點 三大園區二個主題館 預約專人導覽 親子旅遊可安排在太魯閣一日遊 -亞泥生態園區](https://cdn.walkerland.com.tw/images/upload/poi/p89762/m74007/58ab9b2e2a0fb31af17e9f9fbb495af4310fe8af.jpg)
![跳躍的宅男 - [花蓮旅遊景點推薦] 蝴蝶翩翩起舞超美麗 台灣最大蝴蝶生態館 花蓮免費景點 三大園區二個主題館 預約專人導覽 親子旅遊可安排在太魯閣一日遊 -亞泥生態園區](https://cdn.walkerland.com.tw/images/upload/poi/p89762/m74007/5c1a8ca816839fee42f99e1529d02110cf369f62.jpg)
![跳躍的宅男 - [花蓮旅遊景點推薦] 蝴蝶翩翩起舞超美麗 台灣最大蝴蝶生態館 花蓮免費景點 三大園區二個主題館 預約專人導覽 親子旅遊可安排在太魯閣一日遊 -亞泥生態園區](https://cdn.walkerland.com.tw/images/upload/poi/p89762/m74007/1ce68e12fc985d9c5208dc25bae437fc7d00008d.jpg)
![跳躍的宅男 - [花蓮旅遊景點推薦] 蝴蝶翩翩起舞超美麗 台灣最大蝴蝶生態館 花蓮免費景點 三大園區二個主題館 預約專人導覽 親子旅遊可安排在太魯閣一日遊 -亞泥生態園區](https://cdn.walkerland.com.tw/images/upload/poi/p89762/m74007/75c809d16ce12fb11bd14349096f32e5f91555c4.jpg)
![跳躍的宅男 - [花蓮旅遊景點推薦] 蝴蝶翩翩起舞超美麗 台灣最大蝴蝶生態館 花蓮免費景點 三大園區二個主題館 預約專人導覽 親子旅遊可安排在太魯閣一日遊 -亞泥生態園區](https://cdn.walkerland.com.tw/images/upload/poi/p89762/m74007/369f37a6fd79c8f90051175efb2a1c8d66d6277e.jpg)
![跳躍的宅男 - [花蓮旅遊景點推薦] 蝴蝶翩翩起舞超美麗 台灣最大蝴蝶生態館 花蓮免費景點 三大園區二個主題館 預約專人導覽 親子旅遊可安排在太魯閣一日遊 -亞泥生態園區](https://cdn.walkerland.com.tw/images/upload/poi/p89762/m74007/5d67d9f12c6ce4d3652424f4463a235d57e723fe.jpg)
![跳躍的宅男 - [花蓮旅遊景點推薦] 蝴蝶翩翩起舞超美麗 台灣最大蝴蝶生態館 花蓮免費景點 三大園區二個主題館 預約專人導覽 親子旅遊可安排在太魯閣一日遊 -亞泥生態園區](https://cdn.walkerland.com.tw/images/upload/poi/p89762/m74007/5ae3c27e0585e493966b011e383559c46baf686e.jpg)
![跳躍的宅男 - [花蓮旅遊景點推薦] 蝴蝶翩翩起舞超美麗 台灣最大蝴蝶生態館 花蓮免費景點 三大園區二個主題館 預約專人導覽 親子旅遊可安排在太魯閣一日遊 -亞泥生態園區](https://cdn.walkerland.com.tw/images/upload/poi/p89762/m74007/90a3502a8f4cfc4c83d440f32e355365b5e8492e.jpg)
![跳躍的宅男 - [花蓮旅遊景點推薦] 蝴蝶翩翩起舞超美麗 台灣最大蝴蝶生態館 花蓮免費景點 三大園區二個主題館 預約專人導覽 親子旅遊可安排在太魯閣一日遊 -亞泥生態園區](https://cdn.walkerland.com.tw/images/upload/poi/p89762/m74007/0ada79e6a742db7642af10d67e55d3dc8330f030.jpg)
![跳躍的宅男 - [花蓮旅遊景點推薦] 蝴蝶翩翩起舞超美麗 台灣最大蝴蝶生態館 花蓮免費景點 三大園區二個主題館 預約專人導覽 親子旅遊可安排在太魯閣一日遊 -亞泥生態園區](https://cdn.walkerland.com.tw/images/upload/poi/p89762/m74007/489bd0b4d42a1b389bfd77ef3006e8791917aa58.jpg)
![跳躍的宅男 - [花蓮旅遊景點推薦] 蝴蝶翩翩起舞超美麗 台灣最大蝴蝶生態館 花蓮免費景點 三大園區二個主題館 預約專人導覽 親子旅遊可安排在太魯閣一日遊 -亞泥生態園區](https://cdn.walkerland.com.tw/images/upload/poi/p89762/m74007/41a9c084c06d5883fa013c657c1fa512ae58425b.jpg)
![跳躍的宅男 - [花蓮旅遊景點推薦] 蝴蝶翩翩起舞超美麗 台灣最大蝴蝶生態館 花蓮免費景點 三大園區二個主題館 預約專人導覽 親子旅遊可安排在太魯閣一日遊 -亞泥生態園區](https://cdn.walkerland.com.tw/images/upload/poi/p89762/m74007/4d64db70e455ac3187659efb45ab886f0a2986ad.jpg)
![跳躍的宅男 - [花蓮旅遊景點推薦] 蝴蝶翩翩起舞超美麗 台灣最大蝴蝶生態館 花蓮免費景點 三大園區二個主題館 預約專人導覽 親子旅遊可安排在太魯閣一日遊 -亞泥生態園區](https://cdn.walkerland.com.tw/images/upload/poi/p89762/m74007/cdb325560c4214e0256f840e8e174b69507d2fbe.jpg)
![跳躍的宅男 - [花蓮旅遊景點推薦] 蝴蝶翩翩起舞超美麗 台灣最大蝴蝶生態館 花蓮免費景點 三大園區二個主題館 預約專人導覽 親子旅遊可安排在太魯閣一日遊 -亞泥生態園區](https://cdn.walkerland.com.tw/images/upload/poi/p89762/m74007/6a6b2958a6c4d6088cb57f884d3c013644cb3b0e.jpg)
![跳躍的宅男 - [花蓮旅遊景點推薦] 蝴蝶翩翩起舞超美麗 台灣最大蝴蝶生態館 花蓮免費景點 三大園區二個主題館 預約專人導覽 親子旅遊可安排在太魯閣一日遊 -亞泥生態園區](https://cdn.walkerland.com.tw/images/upload/poi/p89762/m74007/830f0c5a009e26485d5743179b74e68690796361.jpg)
![跳躍的宅男 - [花蓮旅遊景點推薦] 蝴蝶翩翩起舞超美麗 台灣最大蝴蝶生態館 花蓮免費景點 三大園區二個主題館 預約專人導覽 親子旅遊可安排在太魯閣一日遊 -亞泥生態園區](https://cdn.walkerland.com.tw/images/upload/poi/p89762/m74007/e69cdff48ebfe6805e86102302cad94460f74f68.jpg)
![跳躍的宅男 - [花蓮旅遊景點推薦] 蝴蝶翩翩起舞超美麗 台灣最大蝴蝶生態館 花蓮免費景點 三大園區二個主題館 預約專人導覽 親子旅遊可安排在太魯閣一日遊 -亞泥生態園區](https://cdn.walkerland.com.tw/images/upload/poi/p89762/m74007/8fdb7bb0930646a4c64c80bbcef5d0475113c498.jpg)
![跳躍的宅男 - [花蓮旅遊景點推薦] 蝴蝶翩翩起舞超美麗 台灣最大蝴蝶生態館 花蓮免費景點 三大園區二個主題館 預約專人導覽 親子旅遊可安排在太魯閣一日遊 -亞泥生態園區](https://cdn.walkerland.com.tw/images/upload/poi/p89762/m74007/90becb5a0383acc20793e7df185956137fa3be68.jpg)
![跳躍的宅男 - [花蓮旅遊景點推薦] 蝴蝶翩翩起舞超美麗 台灣最大蝴蝶生態館 花蓮免費景點 三大園區二個主題館 預約專人導覽 親子旅遊可安排在太魯閣一日遊 -亞泥生態園區](https://cdn.walkerland.com.tw/images/upload/poi/p89762/m74007/e5ad21228421abd7d588e65a4f570af498b390ea.jpg)
![跳躍的宅男 - [花蓮旅遊景點推薦] 蝴蝶翩翩起舞超美麗 台灣最大蝴蝶生態館 花蓮免費景點 三大園區二個主題館 預約專人導覽 親子旅遊可安排在太魯閣一日遊 -亞泥生態園區](https://cdn.walkerland.com.tw/images/upload/poi/p89762/m74007/f44c3641a279d555ad68b61c75300075372fb767.jpg)
![跳躍的宅男 - [花蓮旅遊景點推薦] 蝴蝶翩翩起舞超美麗 台灣最大蝴蝶生態館 花蓮免費景點 三大園區二個主題館 預約專人導覽 親子旅遊可安排在太魯閣一日遊 -亞泥生態園區](https://cdn.walkerland.com.tw/images/upload/poi/p89762/m74007/c1a80c839ce1f9ba8f8e7017d5b1b754012dcbe2.jpg)
![跳躍的宅男 - [花蓮旅遊景點推薦] 蝴蝶翩翩起舞超美麗 台灣最大蝴蝶生態館 花蓮免費景點 三大園區二個主題館 預約專人導覽 親子旅遊可安排在太魯閣一日遊 -亞泥生態園區](https://cdn.walkerland.com.tw/images/upload/poi/p89762/m74007/85c67348f4d30db12f309f9b15425543808439b4.jpg)
![跳躍的宅男 - [花蓮旅遊景點推薦] 蝴蝶翩翩起舞超美麗 台灣最大蝴蝶生態館 花蓮免費景點 三大園區二個主題館 預約專人導覽 親子旅遊可安排在太魯閣一日遊 -亞泥生態園區](https://cdn.walkerland.com.tw/images/upload/poi/p89762/m74007/764b3c9b2b56310b573b1b45f42a62b4415a9bc0.jpg)
![跳躍的宅男 - [花蓮旅遊景點推薦] 蝴蝶翩翩起舞超美麗 台灣最大蝴蝶生態館 花蓮免費景點 三大園區二個主題館 預約專人導覽 親子旅遊可安排在太魯閣一日遊 -亞泥生態園區](https://cdn.walkerland.com.tw/images/upload/poi/p89762/m74007/dc57d218909ec293a33fa57315400b734dc74b51.jpg)
![跳躍的宅男 - [花蓮旅遊景點推薦] 蝴蝶翩翩起舞超美麗 台灣最大蝴蝶生態館 花蓮免費景點 三大園區二個主題館 預約專人導覽 親子旅遊可安排在太魯閣一日遊 -亞泥生態園區](https://cdn.walkerland.com.tw/images/upload/poi/p89762/m74007/52d108c84e54c1663260112cc356f97cdd83688a.jpg)
![跳躍的宅男 - [花蓮旅遊景點推薦] 蝴蝶翩翩起舞超美麗 台灣最大蝴蝶生態館 花蓮免費景點 三大園區二個主題館 預約專人導覽 親子旅遊可安排在太魯閣一日遊 -亞泥生態園區](https://cdn.walkerland.com.tw/images/upload/poi/p89762/m74007/0f0c55d0a486eec806d30279f2ee0749ae3beffd.jpg)
![跳躍的宅男 - [花蓮旅遊景點推薦] 蝴蝶翩翩起舞超美麗 台灣最大蝴蝶生態館 花蓮免費景點 三大園區二個主題館 預約專人導覽 親子旅遊可安排在太魯閣一日遊 -亞泥生態園區](https://cdn.walkerland.com.tw/images/upload/poi/p89762/m74007/0267cfab59cdcbd0c0743b27287ca73d2729b92f.jpg)
![跳躍的宅男 - [花蓮旅遊景點推薦] 蝴蝶翩翩起舞超美麗 台灣最大蝴蝶生態館 花蓮免費景點 三大園區二個主題館 預約專人導覽 親子旅遊可安排在太魯閣一日遊 -亞泥生態園區](https://cdn.walkerland.com.tw/images/upload/poi/p89762/m74007/e6dfac5a352ca06644bd234aad5d0b8a9724ee17.jpg)
![跳躍的宅男 - [花蓮旅遊景點推薦] 蝴蝶翩翩起舞超美麗 台灣最大蝴蝶生態館 花蓮免費景點 三大園區二個主題館 預約專人導覽 親子旅遊可安排在太魯閣一日遊 -亞泥生態園區](https://cdn.walkerland.com.tw/images/upload/poi/p89762/m74007/45356d1e2841234934b634d011bb262c96d84c09.jpg)
![跳躍的宅男 - [花蓮旅遊景點推薦] 蝴蝶翩翩起舞超美麗 台灣最大蝴蝶生態館 花蓮免費景點 三大園區二個主題館 預約專人導覽 親子旅遊可安排在太魯閣一日遊 -亞泥生態園區](https://cdn.walkerland.com.tw/images/upload/poi/p89762/m74007/e79f8474e06e990aa57a421a3b57a5175b490d48.jpg)
![跳躍的宅男 - [花蓮旅遊景點推薦] 蝴蝶翩翩起舞超美麗 台灣最大蝴蝶生態館 花蓮免費景點 三大園區二個主題館 預約專人導覽 親子旅遊可安排在太魯閣一日遊 -亞泥生態園區](https://cdn.walkerland.com.tw/images/upload/poi/p89762/m74007/e2b72dafe4060670801406e3cc8e35c5409a1189.jpg)
![跳躍的宅男 - [花蓮旅遊景點推薦] 蝴蝶翩翩起舞超美麗 台灣最大蝴蝶生態館 花蓮免費景點 三大園區二個主題館 預約專人導覽 親子旅遊可安排在太魯閣一日遊 -亞泥生態園區](https://cdn.walkerland.com.tw/images/upload/poi/p89762/m74007/75daa5497cc8efa4c6ded4d3f25b80ec632c722d.jpg)
![跳躍的宅男 - [花蓮旅遊景點推薦] 蝴蝶翩翩起舞超美麗 台灣最大蝴蝶生態館 花蓮免費景點 三大園區二個主題館 預約專人導覽 親子旅遊可安排在太魯閣一日遊 -亞泥生態園區](https://cdn.walkerland.com.tw/images/upload/poi/p89762/m74007/72e49bca5a8ae56f32a2e209c7eed5f3d023fccd.jpg)
![跳躍的宅男 - [花蓮旅遊景點推薦] 蝴蝶翩翩起舞超美麗 台灣最大蝴蝶生態館 花蓮免費景點 三大園區二個主題館 預約專人導覽 親子旅遊可安排在太魯閣一日遊 -亞泥生態園區](https://cdn.walkerland.com.tw/images/upload/poi/p89762/m74007/70ceb1e33818461cbea4045f20048925081c757e.jpg)
![跳躍的宅男 - [花蓮旅遊景點推薦] 蝴蝶翩翩起舞超美麗 台灣最大蝴蝶生態館 花蓮免費景點 三大園區二個主題館 預約專人導覽 親子旅遊可安排在太魯閣一日遊 -亞泥生態園區](https://cdn.walkerland.com.tw/images/upload/poi/p89762/m74007/e6f04a208629bcc802edf43a09dc61eac49a8714.jpg)
![跳躍的宅男 - [花蓮旅遊景點推薦] 蝴蝶翩翩起舞超美麗 台灣最大蝴蝶生態館 花蓮免費景點 三大園區二個主題館 預約專人導覽 親子旅遊可安排在太魯閣一日遊 -亞泥生態園區](https://cdn.walkerland.com.tw/images/upload/poi/p89762/m74007/f363520c5b25755ba8c76e84ebbb0456ce1e7b01.jpg)
![跳躍的宅男 - [花蓮旅遊景點推薦] 蝴蝶翩翩起舞超美麗 台灣最大蝴蝶生態館 花蓮免費景點 三大園區二個主題館 預約專人導覽 親子旅遊可安排在太魯閣一日遊 -亞泥生態園區](https://cdn.walkerland.com.tw/images/upload/poi/p89762/m74007/139efb8cc0cfa4e4c0b3ba6b8da1732c320be0bb.jpg)
![跳躍的宅男 - [花蓮旅遊景點推薦] 蝴蝶翩翩起舞超美麗 台灣最大蝴蝶生態館 花蓮免費景點 三大園區二個主題館 預約專人導覽 親子旅遊可安排在太魯閣一日遊 -亞泥生態園區](https://cdn.walkerland.com.tw/images/upload/poi/p89762/m74007/64f42bf09fa034bc5e26b733a0d1dc82c9cc7f2e.jpg)
![跳躍的宅男 - [花蓮旅遊景點推薦] 蝴蝶翩翩起舞超美麗 台灣最大蝴蝶生態館 花蓮免費景點 三大園區二個主題館 預約專人導覽 親子旅遊可安排在太魯閣一日遊 -亞泥生態園區](https://cdn.walkerland.com.tw/images/upload/poi/p89762/m74007/84910cf4adc92e0a3b1ee3088141112f9e3904ff.jpg)
![跳躍的宅男 - [花蓮旅遊景點推薦] 蝴蝶翩翩起舞超美麗 台灣最大蝴蝶生態館 花蓮免費景點 三大園區二個主題館 預約專人導覽 親子旅遊可安排在太魯閣一日遊 -亞泥生態園區](https://cdn.walkerland.com.tw/images/upload/poi/p89762/m74007/a4c9306e6e9e33e5f84ad397f0b2d12849b1ee06.jpg)
![跳躍的宅男 - [花蓮旅遊景點推薦] 蝴蝶翩翩起舞超美麗 台灣最大蝴蝶生態館 花蓮免費景點 三大園區二個主題館 預約專人導覽 親子旅遊可安排在太魯閣一日遊 -亞泥生態園區](https://cdn.walkerland.com.tw/images/upload/poi/p89762/m74007/feedf11cb21cf7e4ab8520199224b8ee49458e02.jpg)
![跳躍的宅男 - [花蓮旅遊景點推薦] 蝴蝶翩翩起舞超美麗 台灣最大蝴蝶生態館 花蓮免費景點 三大園區二個主題館 預約專人導覽 親子旅遊可安排在太魯閣一日遊 -亞泥生態園區](https://cdn.walkerland.com.tw/images/upload/poi/p89762/m74007/1321c11b036454c71f8f02d426aa8bbf296ff14e.jpg)
![跳躍的宅男 - [花蓮旅遊景點推薦] 蝴蝶翩翩起舞超美麗 台灣最大蝴蝶生態館 花蓮免費景點 三大園區二個主題館 預約專人導覽 親子旅遊可安排在太魯閣一日遊 -亞泥生態園區](https://cdn.walkerland.com.tw/images/upload/poi/p89762/m74007/6bf463cac4033acb9550a1f418ade15cac8bef77.jpg)
![跳躍的宅男 - [花蓮旅遊景點推薦] 蝴蝶翩翩起舞超美麗 台灣最大蝴蝶生態館 花蓮免費景點 三大園區二個主題館 預約專人導覽 親子旅遊可安排在太魯閣一日遊 -亞泥生態園區](https://cdn.walkerland.com.tw/images/upload/poi/p89762/m74007/1d1cef499a67b11c8cd544fbf45f7111ed464fec.jpg)
![跳躍的宅男 - [花蓮旅遊景點推薦] 蝴蝶翩翩起舞超美麗 台灣最大蝴蝶生態館 花蓮免費景點 三大園區二個主題館 預約專人導覽 親子旅遊可安排在太魯閣一日遊 -亞泥生態園區](https://cdn.walkerland.com.tw/images/upload/poi/p89762/m74007/15128492062cdfc54329399a056fe1da275300a2.jpg)