溪湖小鎮真的是一塊寶地 總面積:32.0592 平方公里
面積雖然不大 但卻孕育出許多寶貴的資源
溪湖小鎮亦稱為『羊葡小鎮』,羊肉及葡萄就是溪湖最聞名的特產
因此今天那倆人就要來跟各位朋友介紹在地ㄟ葡萄🍇
沒錯!今天那倆人要介紹的就是溫室葡萄園🍇🍇
溫室葡萄也就是精緻農業中重要的一環
就讓那倆人為各位帶來一趟葡萄的奇幻之旅吧![]()
今天要介紹的農民 因為朋友的介紹所以才認識的
外號 阿榜 因為長期擔任農特產班的班長 又名『老班長』
一入園 老班長就先剪一串葡萄請那倆人品嚐
鄉下人的樸實與熱情 真的是表露無遺啊~
老班長的葡萄甜中帶點微酸的滋味
果然是正港好吃的葡萄![]()
老班長提到 他們種植的面積約兩甲地 這樣的面積是非常嚇人的
葡萄園共分成4區 會平均分配採收期就是為了顧好品質
葡萄栽培SOP:催芽-萌芽-抽穗-開花-燈照-著果-燈照-著果-肥大-轉色-採收
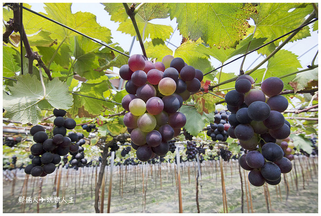
尚未成熟的葡萄 外觀呈現綠色的色澤
漸漸成熟後 顏色就會由綠轉紅再到黑
老班長堅持一個枝枒只會留兩串的葡萄🍇🍇
雖然採收數量會減少 但因為養份集中
因此才會有如此好吃的葡萄🍇🍇
而且他堅持培養過程中 在第145天開始採收
因為這樣的熟度是最剛好的 也是最好吃的時候 ![]()
滿滿的葡萄串 都是老班長辛苦的結晶![]()
紙箱與報紙都已經準備就緒了
再過幾天就可以採收了
溫室葡萄在溪湖鎮四處可見 為什麼那倆人要特地介紹他呢
原因很簡單 老班長在民國73年就開始嘗試溫室栽培的技術
而溫室栽培漸漸流行是在民國80年後 所以老班長也算是溫室栽培的始祖
一個20出頭的年輕人 投入40多年的時間研究葡萄的栽培
不論技術或觀念都已出神入化 隨著科技的進步
老班長早已投入精緻農業的市場
就連明道大學的教授 也特別邀請老班長以及他的兒子去學校當『專業顧問』
無數的獎牌 也都是業界對他的肯定![]()
![]()
![]()
或許大家會認為 溫室很好種植 沒什麼風險 成本不高
錯錯錯 絕對不是這樣 溫室因為架高的緣故
每年颱風來的季節都要戰戰兢兢的除了擔心棚架會不會受到影響
或是颱風帶來的雨量 會不會造成淹水 就連溫室的棚架也都是有壽命的
每年國曆3月底至4月初就是採收的時節
辛苦一年的農民 採收期只有短短的1.5個月
喜歡吃葡萄的朋友 要好好把握今年的機會唷![]()
老班長說為了要回饋這塊土地的恩情
現在要推出產地直銷的方式 不論是在地的居民
或是外地來的朋友 都能以最優惠的價錢 買到最新鮮的葡萄
快趁著產季趕快來溪湖吃葡萄吧🍇🍇
店家資訊:老班長葡萄
聯絡電話:0982-913-868 莊小姐

















